En algún momento nos llegó la versión que en el ex Laboratorio de la Shell (actual Mercado Ideal) había una plaquita misteriosa, en el sótano, debajo de la escalera. ¿mentira? ¿mito? ¿teléfono descompuesto?
̶ ¿Te conté que tengo un punto topográfico en el sótano?- dijo Dany.
̶ ¿Un punto topográfico? ¿en el sótano? – le pregunté asombrado
̶̶̶̶ Si – contestó Daniel con la cara solemne que pone cuando relata algún hecho histórico o anecdótico del barrio. – Ahora te cuento.
Apoyé la bolsa de las compras en el piso, y esperé unos minutos observando a los vecinos eligiendo sus comestibles para la cena, hasta que nos quedamos solos con Daniel.
̶ Te cuento, un día, estaba atendiendo el negocio y se bajan tres o cuatro personas de una camioneta, entran al mercado, y piden hablar con el dueño. Les digo que soy yo, y que qué necesitaban. Me dicen que en mi local había un punto de medición especial, y que si los dejaba pasar. Al principio les dije que no había nada de lo que decían, que deberían estar equivocados. Pero los tipos me dijeron que sí, que había un punto de medición en el sótano y me mostraron unos planitos.
̶ Cuando dijeron el sótano me avivé: debía ser la plaqueta que está abajo de la escalera. Es como un redondel de metal, ¿querés verla?
Por supuesto que le dije que sí, mitad intrigado por la plaqueta, y mitad intrigado por conocer el otro lado del mostrador del Mercado Ideal, historia viva de Diadema. Lado de la vida que sospecho que muchos vecinos no pudieron visitar nunca.
̶ Esperá que ordeno un poco, – dijo el Dany, y se fue a acomodar antes de hacerme pasar.
Fuimos hasta el fondo, bajamos al sótano, y me mostró la placa, debajo de la escalera.
̶ Ahí está, ̶ me dijo señalando al suelo. Era un redondel de metal, de unos 25 centímetros de diámetro, empotrada en el piso. Con ayuda de una linterna leí las inscripciones de la placa y le trasmití al Dany: ̶ dice . . . Observatorio Astronómico . . . La Plata . . . Gravimétrico . . . – un poco leyendo y otro poco adivinando
Mientras hablábamos, un pequeño alacrán pasó por sobre la placa, deteniéndose un instante sobre la palabra “Plata”, pero sin ningún interés del tipo de mediciones que se harían sobre aquella.
̶ ¿Y qué será? – me preguntó Daniel con la misma cara seria de antes
̶ Parece que un punto de medición – respondí como para no quedarme callado y perder autoridad científica frente a Daniel. – Si te parece busco algo de información . . .
Esa noche traté de resolver la duda buscando en Internet, y encontré en la página del Instituto Geográfico Nacional IGN (ex Instituto Geográfico Militar IGM) donde explicaban que dicha repartición hizo varias campañas nacionales para instalar puntos de gravedad monitoreada en todas las provincias del país.
Según lo que entendí, esas redes ayudan a conocer la distribución y composición de las masas debajo de la superficie de la tierra.
Pero de Diadema no encontraba nada. Busqué durante dos o tres días más, pero no. Nada. Tan cerquita que creía que había llegado… Con media batalla ganada y media perdida, fui y le conté al Dany lo que había averiguado. Él me volvió a mirar con cara solemne y sólo expresó un “ Debe ser eso. “
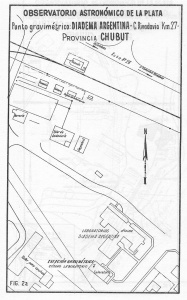
Me quedé con un gustito a derrota hasta que, esta semana, revisando y clasificando libros de Topografía y Geodesia, herencia del profesor Luis Parache Chávez, encuentro un “Catálogo General de Estaciones Gravimétricas, observadas y computadas por el departamento de gravimetría, 1936-1967”, un libro del Observatorio Astronómico de la Universidad Nacional de La Plata.
En el libro explicaban que, entre muchas otras tareas, en 1958, durante una campaña de instalación de estaciones pendulares, personal del Observatorio había materializado en el subsuelo del entonces Laboratorio de la empresa Shell, en Diadema Argentina, la estación pendular Nº 262.
A esas indicaciones las acompañaba un croquis de ubicación que parecía el mapa del tesoro y una tabla con los valores de la aceleración de la gravedad medida en ese punto.
Ahí se muestra que el histórico 9.8 o 9.81 que usábamos en física, en Diadema anda en 9.806 y algo. O por lo menos andaba en esos valores en 1958. Esto gracias especialmente a los nunca suficientemente recordados J. Mateo, A. L. Cabrera y B. Gudoias, héroes de la física aplicada en Diadema Argentina.
Fotocopié esa información, y con ánimo triunfante, alrededor de un año después de que me generara la intriga, le pude acercar a Dany la referencia exacta de lo que tenía en su sótano.
Volví al mercado, bajamos al sótano (previa limpieza y orden por parte de Daniel), y saqué unas fotos que pusimos más arriba en esta nota. En Daniel, la misma mirada seria e interrogante, como dándole vueltas al tema. Del alacrán ni noticias.
Diadema Argentina, Octubre de 2016.
Si le interesa el tema sugerimos visitar: http://www.ign.gob.ar/NuestrasActividades/Geodesia/Gravimetria/Introduccion








































